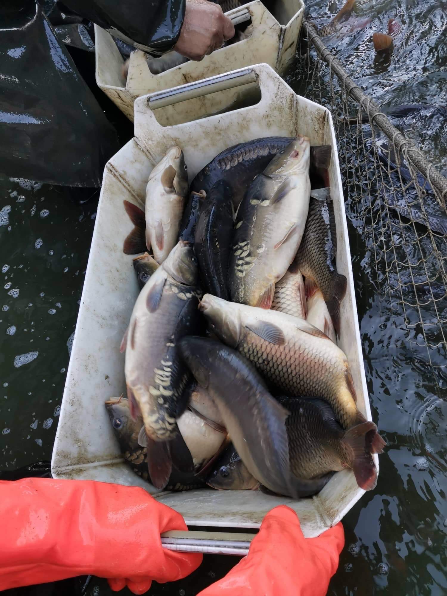
Dne 5. 8. 2022 bylo do revírů Západočeského územního svazu vysazeno 1 700 kg kapra obecného o průměrné hmotnosti 1,3 kg. Konkrétně do rybářského revíru 04 231 003 Rybník Labuť bylo vysazeno 900 kg kaprů. Do revírů 04 231 004 Rybník Zmrzlík a 04 231 005 Rybník Čepinec bylo shodně vysazeno po 400 kg těchto ryb. Kapři byli v dobré kondici a byli vyloveni v rámci letních odlovů na chovných rybnících Klatovského Rybářství a.s. Přejeme všem rybářům bohaté úlovky a příjemné zážitky na revírech Zpč. ÚS.
Již od roku 2014 podporuje Západočeský územní svaz ČRS zájem dětí o rybaření poskytnutím první povolenky k lovu ryb zdarma. Tato akce pokračuje i v roce 2026.
Kliknutím na Přijmout cookies dáváte souhlas s uložením vybraných cookies (nutné, preferenční, výkonnostní, marketingové). Cookies používáme pro lepší fungování našeho webu, měření jeho výkonnosti a cílení a personalizaci reklam. To jaké cookies budou uloženy, můžete svobodně rozhodnout pod tlačítkem Upravit nastavení. Prohlášení o cookies.
Využíváme soubory cookies a další technologie pro lepší uživatelský zážitek na webu. Následující kategorie můžete povolit či zakázat a svůj výběr uložit.
Tyto cookies jsou nezbytné pro zajištění základní funkčnosti webových stránek.
Preferenční cookies slouží pro zapamatování nastavení vašich preferencí pro příští návštěvu.
Výkonnostní cookies monitorují výkon celého webu.
Marketingové a reklamní cookies se využívají k měření a analýze webu.