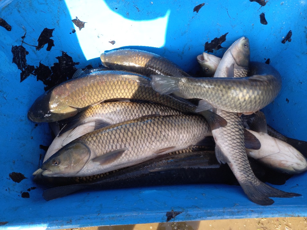
Dne 16. 3. byla do revírů Západočeského územního svazu vysazena první letošní násada candáta v počtu 2 440 ks o průměrné velikosti 19 cm (1 500 ks do revíru Rybník Labuť). Místní organizace již také loví své komorové rybníky a první tuny převážně kaprů již plavou v revírech. V příštích dnech bude vysazeno 1000 kg okouna, 2000 kg generačního sumce velkého a 500 kg tržní a násadové štiky. Všem rybářům přejeme úspěšný lov.
Již od roku 2014 podporuje Západočeský územní svaz ČRS zájem dětí o rybaření poskytnutím první povolenky k lovu ryb zdarma. Tato akce pokračuje i v roce 2026.
Kliknutím na Přijmout cookies dáváte souhlas s uložením vybraných cookies (nutné, preferenční, výkonnostní, marketingové). Cookies používáme pro lepší fungování našeho webu, měření jeho výkonnosti a cílení a personalizaci reklam. To jaké cookies budou uloženy, můžete svobodně rozhodnout pod tlačítkem Upravit nastavení. Prohlášení o cookies.
Využíváme soubory cookies a další technologie pro lepší uživatelský zážitek na webu. Následující kategorie můžete povolit či zakázat a svůj výběr uložit.
Tyto cookies jsou nezbytné pro zajištění základní funkčnosti webových stránek.
Preferenční cookies slouží pro zapamatování nastavení vašich preferencí pro příští návštěvu.
Výkonnostní cookies monitorují výkon celého webu.
Marketingové a reklamní cookies se využívají k měření a analýze webu.